Fire in the Lane

What began as an ordinary morning on September 4 in Madera County, California, quickly escalated into a dramatic scene of chaos, bravery, and humanity. The sun had…

Dana Perino shares the details of her disciplined daily schedule — along with a hobby she’s finally ready to reveal

From morning Peloton rides to private ballroom dance lessons, Dana Perino is proving that discipline, elegance, and energy are her ultimate power combo. Fox News anchor Dana…

Carley Shimkus surprises fans with her daily routine. The new mom getting up at 1:15 am to host

Carley Shimkus, the well-known FOX News personality and co-host of Fox & Friends First, has given fans a glimpse into her early morning routine before heading on…

Legal Experts React To Trump’s Third Term Idea

Donald Trump has suggested that there might be ways for him to serve a third term in the White House. The idea has caused outrage across the…

Fox’s Ainsley Earhardt Reveals Her biggest Wish: I would love to have more children

Fox News hosts Sean Hannity, 62, and Ainsley Earhardt, 48, took their relationship to the next level after years of quietly dating. After dating quietly for years,…

The girl who was shot in the head during a deadly attack at a Minneapolis Catholic was just confirmed as…

A Tragic Day at the Church of the Annunciation The shooting at Minneapolis’ Church of the Annunciation on August 27, 2025, left the community shaken. Nearly 200…

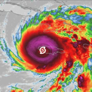
BREAKING NEWS Large Hurricane MELISSA CATEGORY 5 forming… See more

Historic Landfall in Jamaica Hurricane Melissa struck Jamaica on October 28, 2025 as a Category 5 hurricane. It made landfall near New Hope on the southwest coast of the island….

Mom of 9-Year-Old Influencer with Stage 4 Cancer Says ‘Every Day Feels Heavy’ as She Shares Emotional Health Update

Influencer Brie Bird’s Mom Shares Heartbreaking Health Update On Monday, Oct. 27, Kendra Bird posted a family photo on Instagram, updating followers about her 9-year-old daughter, Brie,…

Democrats Struggle to Contain Fallout as Schumer-Led Shutdown Nears One Month

As the federal government shutdown approaches its fourth week, pressure is mounting inside the Democratic Party to find a way out of the impasse that has left…

DID YOU KNOW that if hair grows on your ears…

Most people are surprised the first time they notice noticeable hair on or inside their ears. While it may seem unusual, ear hair is actually quite normal….